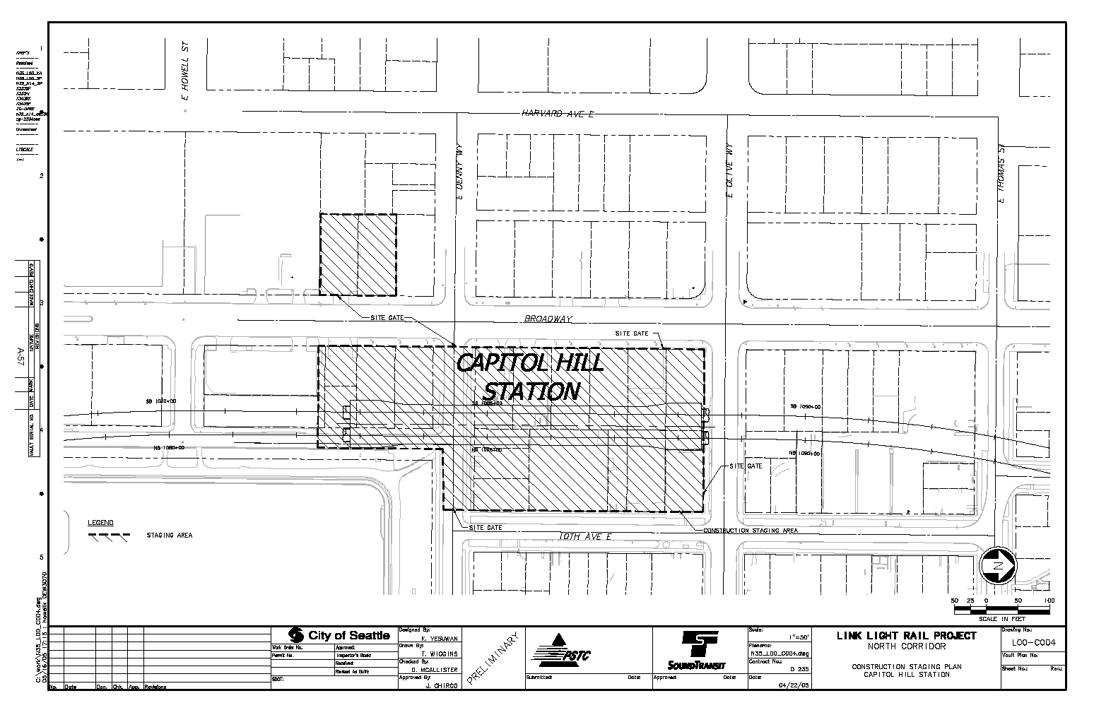
Sound Transit Site Plan for Seattle's Capitol Hill
Light Rail Station on Broadway

Source: North Link Draft Environmental Impact Statement, October 2005

Return to coverage of North Link Environmental Impact Statement